



NHÀ 47M2 3 LẦU ÂU CƠ NGAY CHỢ TÂN PHƯỚC
Đường Âu Cơ, Phường Tân Hòa, Quận Tân Bình, TP Hồ Chí Minh, Quận Tân Bình, TP Hồ Chí Minh
Mô Tả Chi Tiết
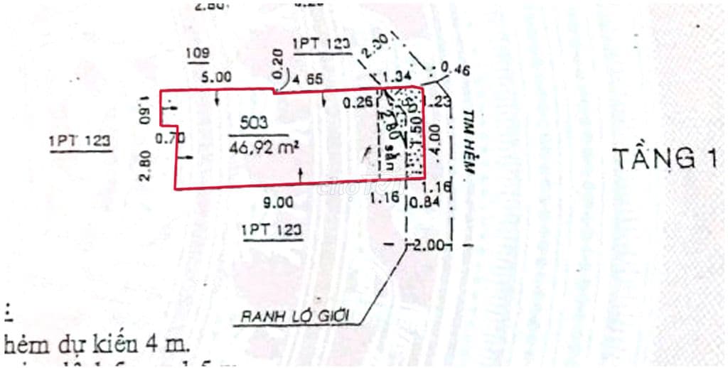
Nhà hẻm 86/ Âu Cơ, P. 9, Q. Tân Bình - DT : 4 x 12m - DT XD : 47m2 hoàn công đủ - Nhà xây 1 lửng, 2 lầu, 3 phòng ngủ, 3WC. Có tầng sinh hoạt chung, nhà kho, hồ cá, sân phơi, giếng trời, tặng NT liền tường, máy NLMT. - Vị trí đẹp, hẻm 3m thông, 20m ra hẻm xe hơi, ngay khu chợ Tân Phước - Khu yên tĩnh an ninh, gần vòng xoay Lê Đại Hành Lữ Gia, Lotte mark, BV, các trường ĐH, giáp các Q.10,11 rất thuận tiện đi lại. Sổ hồng chính chủ & Giá 6.8 Tỷ TL, Hướng Nam * - Nhận Ký Gửi - Xin Phép Xây Dựng - Đo Đạc - TV Thiết Kế Thi Công - 3D Phối Cảnh - Xem Quy Hoạch. Nguon: chotot_api | Dang ngay: 02/04/2026 | URL goc: https://www.chotot.com/mua-ban-bat-dong-san/130087595.htm
Tầng: 4
Tiện Ích Nội Khu
Vị Trí Trên Bản Đồ
Chưa có tọa độ bản đồ
Đường Âu Cơ, Phường Tân Hòa, Quận Tân Bình, TP Hồ Chí Minh, TP Hồ Chí Minh
TitanHome
Chuyên viên tư vấn cao cấp
Bất Động Sản Tương Tự

Cho thuê mặt bằng - cửa hàng - ki ốt 120, Đ. Định Công, P. Định Công, Q. Hoàng Mai, Tp. Hà Nội
location_onQ. Hoàng Mai, Tp. Hà Nội

Cho thuê mặt bằng - cửa hàng - ki ốt Đ. Lê Hy Cát, Q. Ngũ Hành Sơn, Tp. Đà Nẵng
location_onQ. Ngũ Hành Sơn, Tp. Đà Nẵng

Cho thuê mặt bằng - cửa hàng - ki ốt Đ. Quang Trung, P. 4, Tp. Trà Vinh, T. Trà Vinh
location_onTp. Trà Vinh, T. Trà Vinh