



Đường Ngô Chí Quốc, Phường Tam Bình, Thành phố Thủ Đức, TP Hồ Chí Minh, Thành phố Thủ Đức, Hồ Chí Minh
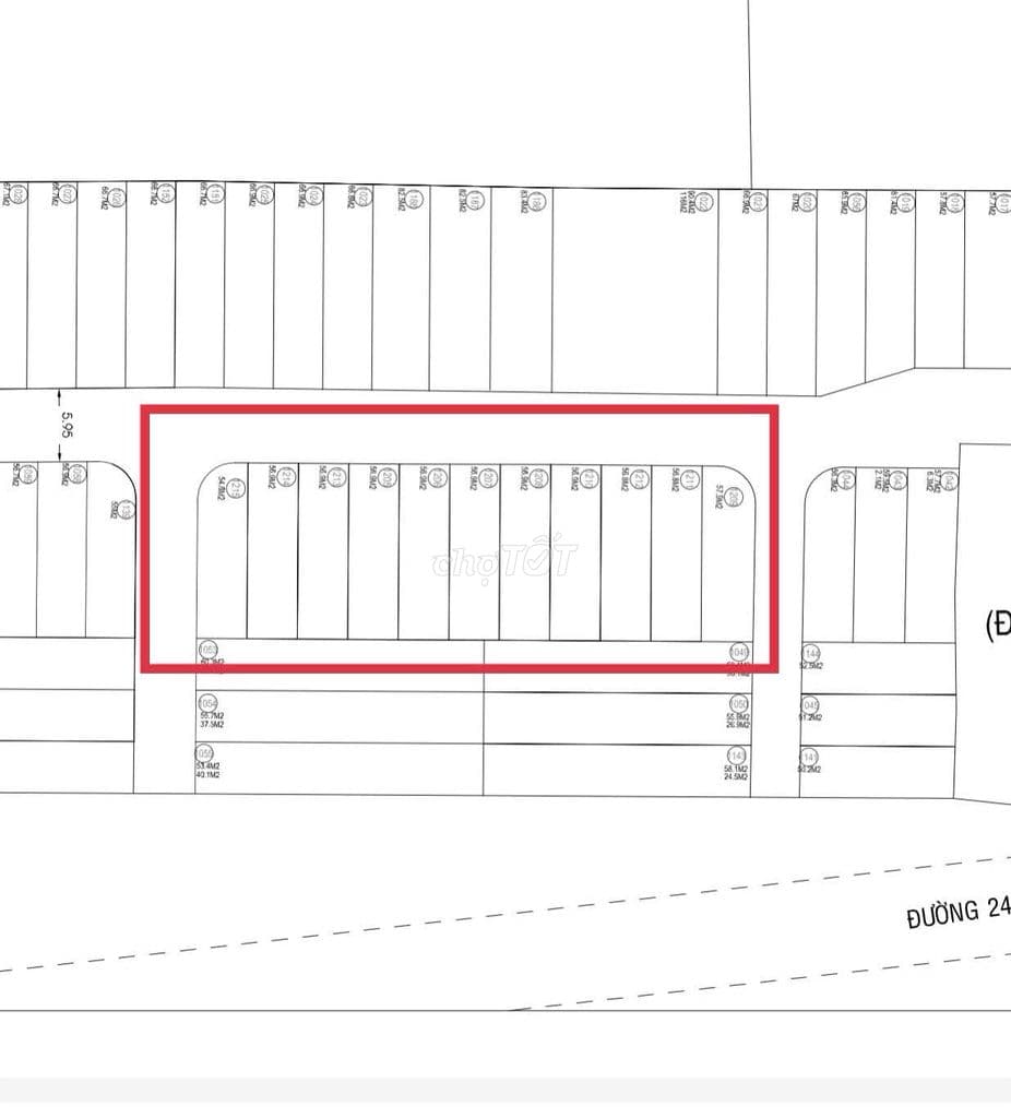
💥D135 💥Chủ Gửi Bán 11 Lô Đất Khu Dân cư Bình Chiểu, đường Ngô Chí Quốc, P. Tam Bình, TP HCM. 💥 THÔNG TIN: - Hướng : Tây Bắc 💥Lô 1: Góc 2 mặt tiền - Ngang 4,15m, dài 14,3m. CN: 56m2. - Lô góc: 4,2 x 14,3m. CN: 61m2. tỷ. 💥Hiện trạng: Đất trống 💥TIỆN ÍCH: Gần gần trường học, chợ Đầu mối nông sản thủ đức. Giá tốt dành cho khách thiện chí , liên hệ em điệp để được hỗ trợ thông tin chính xác nhất Không hợp tác MG , xin cảm ơn ạ
Nguon: chotot_api | Dang ngay: 24/04/2026 | URL goc: https://www.chotot.com/mua-ban-bat-dong-san/132022169.htm
Chưa có tọa độ bản đồ
Đường Ngô Chí Quốc, Phường Tam Bình, Thành phố Thủ Đức, TP Hồ Chí Minh, Hồ Chí Minh