



đất Đ. 1, X. Xuân Thới Thượng, H. Hóc Môn, Tp. Hồ Chí Minh, H. Hóc Môn, Hồ Chí Minh
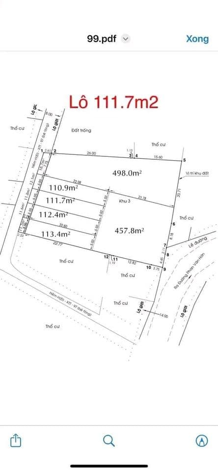
Bán đất Xuân Thới Thượng, Hóc Môn, Hồ Chí Minh.- Chỉ còn 2 lô liền kề.- Diện tích 5×22 =110m2 - hướng tây bắc.- Xây dựng hoàn công ,đường thông 5 m.- Gần chợ chợ thới thượng - trường học - di chuyển ra phan văn hớn chỉ 1km.- Giá chỉ 1 tỷ 350 triệu - bớt lộc - hỗ trợ vay ngân hàng.- Xung quanh có nhiều tiện ích khác.- Anh chị có thể mua xây nhà ở - làm kho - đầu tư đều được.- Chủ vui tính - anh chị gọi cho em xem đất và gặp chủ ạ.Xem thêm Liên hệ: SĐT 1096 686 ****Hiện số Thông tin chi tiết Mặt tiền 5m Chiều sâu 22m Mức độ giao dịch Càng sớm càng tốt Ưu điểm BĐS Dân trí cao document.addEventListener("DOMContentLoaded",()=>{const t=document.getElementById("property");if(t&&t.clientHeight>144){const s="max-h-[144px]",n="<span>Xem thêm<span><i class='text-fs-12 ml-1 ml-arrow-down' />";t.classList.add(s);const e=document.createElement("div");e.className="flex items-center text-primary-600 text-fs-14 font-medium cursor-pointer justify-center",e.innerHTML=n,e.onclick=()=>{t.classList.toggle(s),e.classList.toggle("mt-4"),t.classList.contains(s)?e.innerHTML=n:e.innerHTML="<span>Thu gọn<span><i class='text-fs-12 ml-1 ml-arrow-up' />"},t.parentElement?.appendChild(e)}});
Nguon: meeyland | Dang ngay: 13/04/2026 | URL goc: https://meeyland.com/ban-dat-hoc-mon-ho-chi-minh-i1123/302186133
Chưa có tọa độ bản đồ
đất Đ. 1, X. Xuân Thới Thượng, H. Hóc Môn, Tp. Hồ Chí Minh, Hồ Chí Minh