



Đường số 1, Phường Hiệp Bình, Thành phố Thủ Đức, TP Hồ Chí Minh, Thành phố Thủ Đức, Hồ Chí Minh
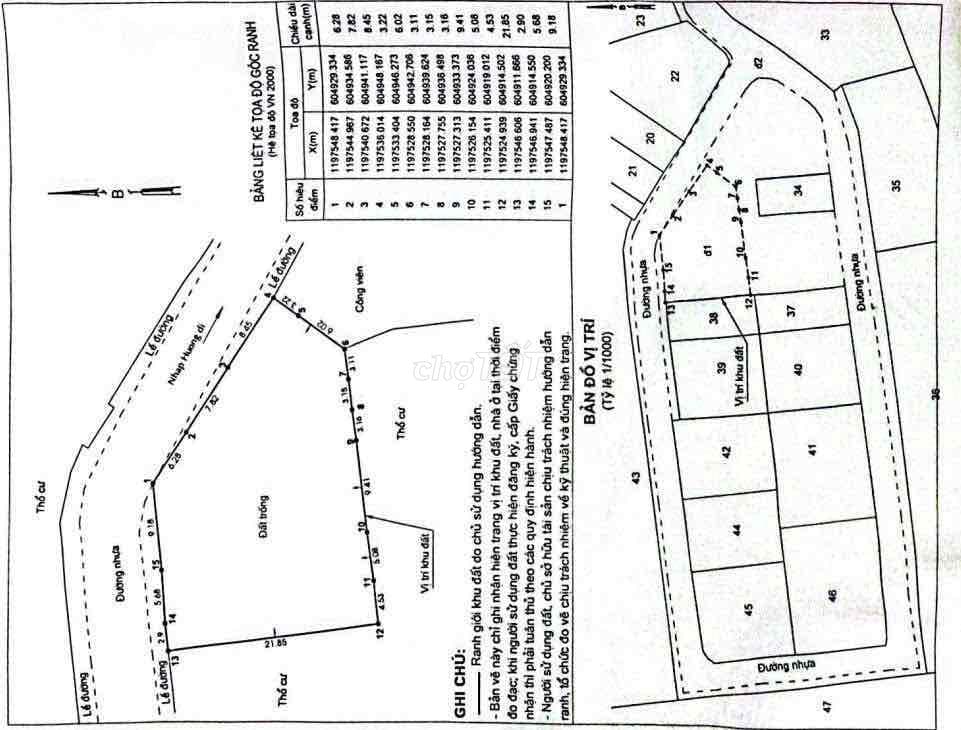
Dự án: Thông tin chi tiết: BÁN DƯỚI GIÁ NGÂN HÀNG BANK ĐỊNH GIÁ 57tỷ BÁN GIÁ 46tỷ còn thương lượng tốt ĐẤT XÂY VILLA NGAY SÁT BỜ SÔNG VỊ TRÍ : hiệp bình chánh - thủ đức DIỆN TÍCH : 618m2 Giá : 46tỷ thương lượng pháp lý : sổ sẵn công chứng ngay CẦN BÁN GẤP
Nguon: chotot_api | Dang ngay: 14/04/2026 | URL goc: https://www.chotot.com/mua-ban-bat-dong-san/131816359.htm
Chưa có tọa độ bản đồ
Đường số 1, Phường Hiệp Bình, Thành phố Thủ Đức, TP Hồ Chí Minh, Hồ Chí Minh

location_onHuyện Củ Chi, Hồ Chí Minh