



Đường Võ Văn Vân, Xã Tân Vĩnh Lộc, Huyện Bình Chánh, TP Hồ Chí Minh, Huyện Bình Chánh, Hồ Chí Minh
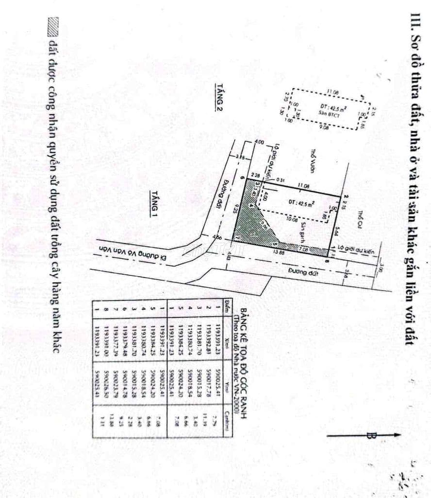
Dự án: Thông tin chi tiết: Bán nhà sổ hoồng riêng 1/ đường võ văn vân vĩnh lộc B bình chánh .DT 9.5mx16m nha 2mặt tiền góc .đuong truoc nhà 8m thông Gia 4ty860 TL LH trực tiếp *** Bên phong rât nhieu sản phẩm tuỳ theo vị trí
Nguon: chotot_api | Dang ngay: 26/04/2026 | URL goc: https://www.chotot.com/mua-ban-bat-dong-san/131733423.htm
Tầng: 2
Chưa có tọa độ bản đồ
Đường Võ Văn Vân, Xã Tân Vĩnh Lộc, Huyện Bình Chánh, TP Hồ Chí Minh, Hồ Chí Minh