



Đường số 16, Phường Hiệp Bình, Thành phố Thủ Đức, TP Hồ Chí Minh, Thành phố Thủ Đức, Hồ Chí Minh
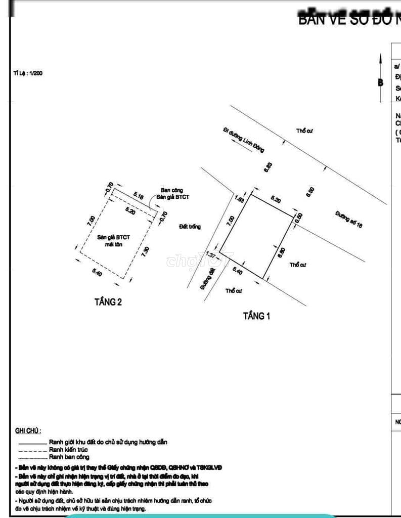
Dự án: Thông tin chi tiết: Hoa hồng 70 triệu Bán nhà Mặt tiền 5,2m x 7m 34 đường 16 p.linh đông( nay là phường hiệp bình) Diện tích : 5,2m x 7m 1 trệt 1 lầu ( DTTT 38m2 Giá : 2,780 Thương lượng Sổ hồng chính chủ Hoa hồng mg
Nguon: chotot_api | Dang ngay: 25/04/2026 | URL goc: https://www.chotot.com/mua-ban-bat-dong-san/132005149.htm
Tầng: 2
Chưa có tọa độ bản đồ
Đường số 16, Phường Hiệp Bình, Thành phố Thủ Đức, TP Hồ Chí Minh, Hồ Chí Minh