



Đường Phan Văn Trị, Phường An Nhơn, Quận Gò Vấp, TP Hồ Chí Minh, Quận Gò Vấp, Hồ Chí Minh
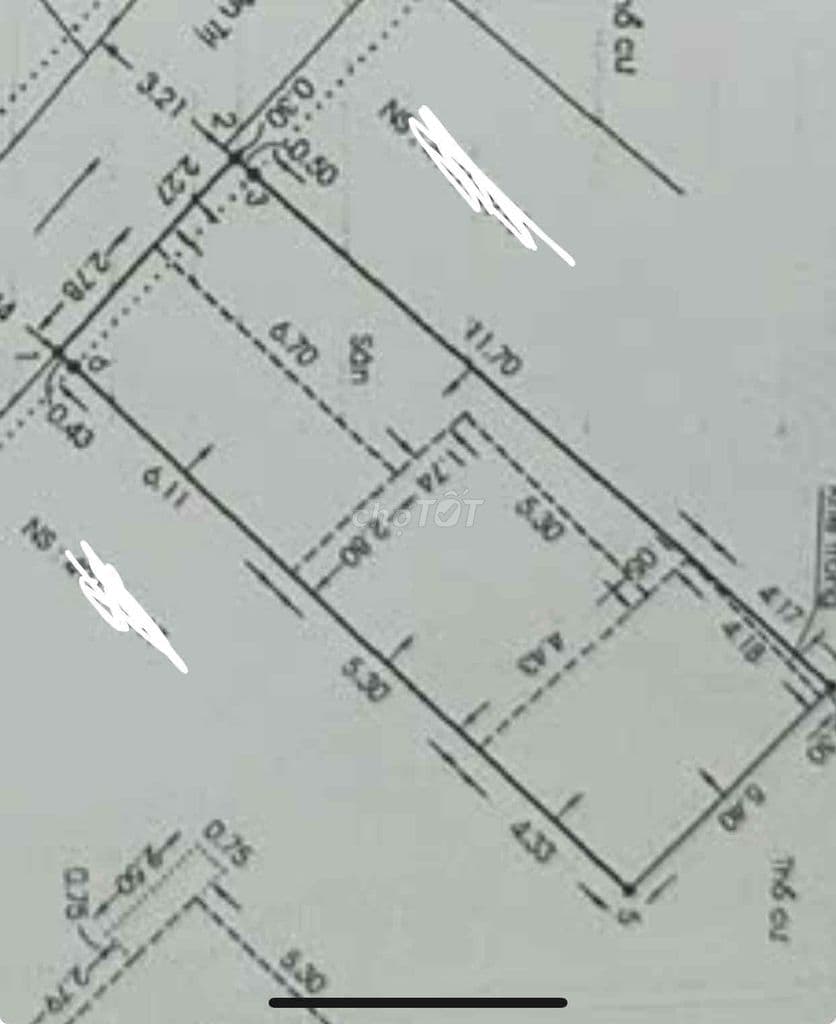
Chính chủ cần bán dãy nhà trọ vị trí cưc đẹp Toạ lạc hẻm 485 thông qua 497 phan văn trị Đối diện siêu thị emart cityland Diện tích cực đẹp 5 nở hậu 5,6 dài 15m đang có 5 phòng cho thuê thu nhập 16tr/ tháng Hẻm thông oto đậu cửa Tiện xây nhà ở hoặc căn hộ cho thuê hoặc là mua làm của Giá bán 8,7 tỷ bớt lộc
Nguon: chotot_api | Dang ngay: 23/04/2026 | URL goc: https://www.chotot.com/mua-ban-bat-dong-san/130011732.htm
Tầng: 1
Chưa có tọa độ bản đồ
Đường Phan Văn Trị, Phường An Nhơn, Quận Gò Vấp, TP Hồ Chí Minh, Hồ Chí Minh

location_onQuận 3, Hồ Chí Minh