



Đường Đinh Đức Thiện, Xã Bình Chánh, Huyện Bình Chánh, TP Hồ Chí Minh, Huyện Bình Chánh, Hồ Chí Minh
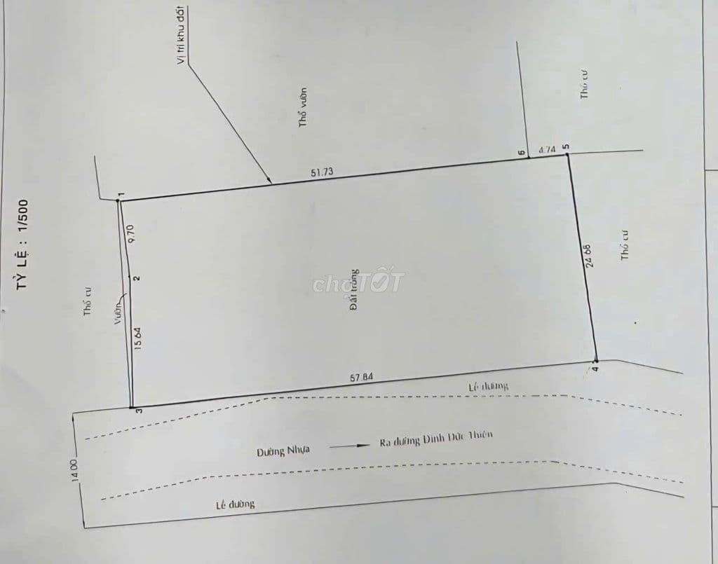
1400m2 thổ cư (58 x 25) thổ cư 100%, tiện phân lô tách thửa Vị trí : Đường Đinh Đức Thiện, xã Bình Chánh, huyện Bình Chánh, TP.HCM.đường nhựa 14m Liền kề Quốc lộ 1A, Cao tốc Bến Lức - Long Thành, thuận tiện di chuyển về trung tâm TP.HCM và các tỉnh miền tây Chỉ tiêu xây dựng 6 tầng, Sổ hồng riêng chính chủ Ngộp ngân hàng nên cần bán giá rẻ cho các anh chị đầu tư hoặc phân lô tách thửa 36 tỷ ( chỉ hơn 20tr/1m2 đất thổ cư tại trung tâm bình chánh) Lh chính chủ tl
Nguon: chotot_api | Dang ngay: 26/04/2026 | URL goc: https://www.chotot.com/mua-ban-bat-dong-san/131793619.htm
Chưa có tọa độ bản đồ
Đường Đinh Đức Thiện, Xã Bình Chánh, Huyện Bình Chánh, TP Hồ Chí Minh, Hồ Chí Minh