



Đường Thạnh Xuân 52, Phường Thới An, Quận 12, TP Hồ Chí Minh, Quận 12, Hồ Chí Minh
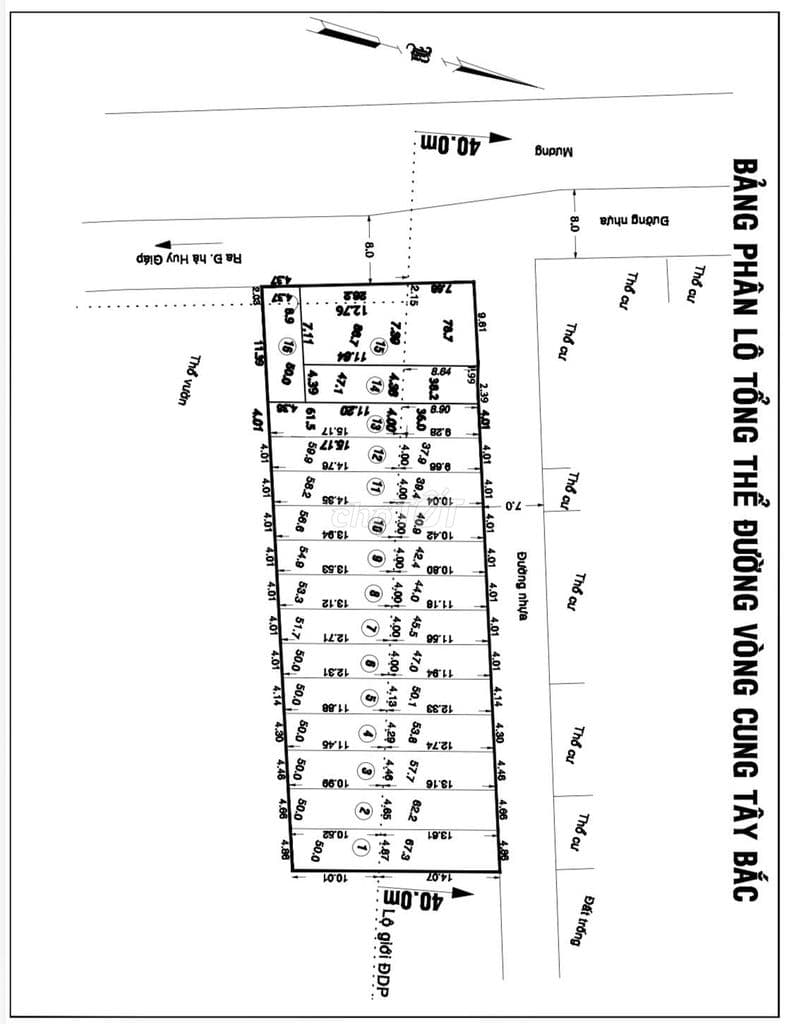
Thông tin chi tiết: 🔥 TIN LỚN KHU TÂY BẮC: ĐƯỜNG 40M SẮP MỞ – ĐẤT THỚI AN CÒN RẺ?. - CÒN 1 LÔ ***! 👉 Đường Vòng cung Tây Bắc – tuyến Liên phường Thới An Thạnh Xuân • Dài gần 4,5km • 6 làn xe – lộ giới 40m • Kết nối trực tiếp Lê Văn Khương – Hà Huy Giáp – Quốc lộ 1 Điều này có nghĩa là gì? 📈 Một trục đô thị mới sẽ hình thành ngay Quận 12. Vì sao nhà đầu tư bắt đầu gom đất khu này? Nhìn lại lịch sử TP.HCM sẽ thấy một quy luật: • Khi đường Phạm Văn Đồng mở → đất tăng gấp nhiều lần • Khi đại lộ Võ Văn Kiệt hoàn thành → khu Tây thay đổi hoàn toàn • Khi Nguyễn Văn Linh mở → Phú Mỹ Hưng bùng nổ 🚧 Đường lớn = tiền đổ về. Và bây giờ… Vòng cung Tây Bắc đang chuẩn bị tạo hiệu ứng tương tự. Điều đặc biệt của khu Thới An So với các khu khác của TP.HCM: ✔ Giá đất vẫn còn mềm hơn rất nhiều ✔ Quỹ đất còn lớn ✔ Hạ tầng đang bắt đầu phát triển mạnh 🏢 khu thương mại 🏬 shophouse 🏘 khu dân cư mới 🏢 chung cư Và khi đó… 📈 Giá đất quanh tuyến đường thường tăng mạnh. Điều mà nhà đầu tư đang làm lúc này Không phải chờ khi đường xong. Mà là đi trước 2–3 năm. Vì khi đường bắt đầu làm: 💰 giá đất thường tăng rất nhanh 💰 người mua thật bắt đầu xuất hiện 💰 nguồn hàng đẹp gần như hết ⚡ Thới An đang ở giai đoạn đầu của chu kỳ này. Ai theo dõi thị trường đều biết: 👉 Tiền lớn luôn đi trước hạ tầng. 📩 Ai muốn mình gửi bản đồ quy hoạch tuyến đường + vị trí đất tiềm năng quanh tuyến này Lh: *** xem Đất và làm việc trực tiếp với Chủ
Nguon: chotot_api | Dang ngay: 15/04/2026 | URL goc: https://www.chotot.com/mua-ban-bat-dong-san/131202429.htm
Chưa có tọa độ bản đồ
Đường Thạnh Xuân 52, Phường Thới An, Quận 12, TP Hồ Chí Minh, Hồ Chí Minh

location_onHuyện Củ Chi, Hồ Chí Minh