



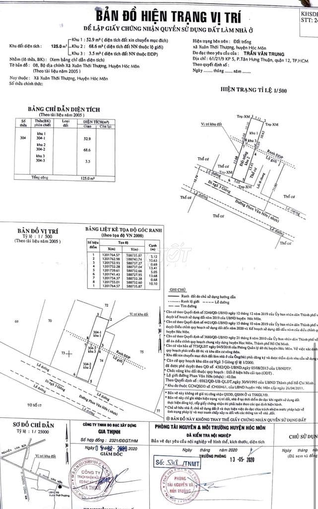
Đường Phan Văn Hớn, Xã Bà Điểm, Huyện Hóc Môn, TP Hồ Chí Minh, Huyện Hóc Môn, Hồ Chí Minh
/-flag Đất mặt tiền .. Phan Văn Hớn . HM . Dt. : (5x25m). Khuôn viên 125m. Khu vực buôn bán tốt. . có thổ cư
Nguon: chotot_api | Dang ngay: 28/04/2026 | URL goc: https://www.chotot.com/mua-ban-bat-dong-san/127964274.htm
Chưa có tọa độ bản đồ
Đường Phan Văn Hớn, Xã Bà Điểm, Huyện Hóc Môn, TP Hồ Chí Minh, Hồ Chí Minh